Administration of Barack Obama, 2017
Proclamation 9565 — Establishment of the Birmingham Civil Rights National Monument
January 12, 2017
By the President of the United States of America
A Proclamation
The A.G. Gaston Motel (Gaston Motel), located in Birmingham, Alabama, within walking distance of the Sixteenth Street Baptist Church, Ingram Park, and other landmarks of the American civil rights movement (movement), served as the headquarters for a civil rights campaign in the spring of 1963. The direct action campaign—known as "Project C" for confrontation—challenged unfair laws designed to limit the freedoms of African Americans and ensure racial inequality. Throughout the campaign, Dr. Martin Luther King, Jr., and Reverend Ralph David Abernathy of the Southern Christian Leadership Conference (SCLC), Reverend Fred L. Shuttlesworth of the Alabama Christian Movement for Human Rights (ACMHR), and other movement leaders rented rooms at the Gaston Motel and held regular strategy sessions there. They also staged marches and held press conferences on the premises. Project C succeeded in focusing the world's attention on racial injustice in America and creating momentum for Federal civil rights legislation that would be enacted in 1964.
The Gaston Motel, the highest quality accommodation in Birmingham in 1963 that accepted African Americans, was itself the product of segregation. Arthur George (A.G.) Gaston, a successful African American businessman whose enterprises addressed the needs of his segregated community, opened the motel in 1954 to provide "something fine that . . . will be appreciated by our people." In the era of segregation, African Americans faced inconveniences, indignities, and personal risk in their travels. The conveniences and comforts of the Gaston Motel were a rarity for them. The motel hosted many travelers over the years, including business and professional people; celebrities performing in the city; participants in religious, social, and political conferences; and in April-May 1963, the movement leaders, the press, and others who would bring Project C to the world stage. During Project C, King and Abernathy occupied the motel's main suite, Room 30, located on the second floor above the office and lobby, and they and their colleagues held most of their strategy sessions in the suite's sitting room.
The events at the Gaston Motel drew attention to State and local laws and customs that—a century after the Civil War—promoted racial inequality. In January 1963, incoming Alabama Governor George Wallace declared, "Segregation now! Segregation tomorrow! Segregation forever!" Birmingham, Alabama's largest city, was a bastion of segregation, enforced by law, custom, and violence. The city required the separation of races at parks, pools, playgrounds, hotels, restaurants, theaters, on buses, in taxicabs, and elsewhere. Zoning ordinances determined where African Americans could purchase property, and a line of demarcation created a virtual wall around the Fourth Avenue business district that served the African American community. Racial discrimination pervaded housing and employment. Violence was frequently used to intimidate those who dared to challenge segregation. From 1945 to 1963, Birmingham witnessed 60 bombings of African American homes, businesses, and churches, earning the city the nickname "Bombingham." By early 1963, civil rights activism was also well established in Birmingham. Civil rights leaders had been spurred into action in 1956 when the State of Alabama effectively outlawed the National Association for the Advancement of Colored People (NAACP). A sheriff served Shuttlesworth, Membership Chairman of the NAACP's Alabama chapter, with an injunction at the organization's regional headquarters in Birmingham's Masonic Temple, where many African American professionals and organizations had their offices. In swift response, Shuttlesworth formed the ACMHR in June 1956, and established its headquarters at his church, Bethel Baptist. Shuttlesworth and the ACMHR spearheaded a church-led civil rights movement in Birmingham: they held mass meetings every Monday night, pursued litigation, and initiated direct action campaigns. The ACMHR and Shuttlesworth established ties with other civil rights organizations, and developed reputations as serious forces in the civil rights movement. As the primary Birmingham contact during the 1961 Freedom Rides, Shuttlesworth and his deacons rescued multiple Freedom Riders, sheltering them at Bethel Baptist Church and its parsonage. Shuttlesworth also worked to cultivate other local protest efforts. In 1962, he supported students from Miles College as they launched a boycott of downtown stores that treated African Americans as second class citizens. A year later some of the same students would participate in Project C.
Shuttlesworth encouraged the SCLC to come to Birmingham. By early 1963, King and his colleagues decided that the intransigence of Birmingham's segregationist power structure, and the strength of its indigenous civil rights movement, created the necessary tension for a campaign that could capture the Nation's—and the Kennedy Administration's—attention, and pressure city leaders to desegregate. In the words of King, "As Birmingham goes, so goes the South."
The plan of the Birmingham campaign was to attack Birmingham's segregated business practices during the busy and lucrative Easter shopping season through nonviolent direct action, including boycotts, marches, and sit-ins. On April 3, 1963, Shuttlesworth distributed a pamphlet entitled "Birmingham Manifesto" to announce the campaign to the press and encourage others to join the cause. Sit-ins at downtown stores began on April 3, as did nightly mass meetings. The first march of the campaign was on April 6, 1963. Participants gathered in the courtyard of the Gaston Motel and started to march toward City Hall, but the police department under the command of Commissioner of Public Safety T. Eugene "Bull" Connor stopped them within three blocks, arrested them, and sent them to jail. The next day, Birmingham police, assisted by their canine corps, again quickly stopped the march from St. Paul United Methodist Church toward City Hall, containing the protesters in Kelly Ingram Park.
Over the next few days, as the possibility of violence increased, some local African American leaders, including A.G. Gaston, questioned Project C. In response, King created a 25-person advisory committee to allow discussion of the leaders' different viewpoints. The advisory committee met daily at the Gaston Motel and reviewed each day's plan.
On April 10, the city obtained an injunction against the marches and other demonstrations from a State court, and served it on King, Abernathy, and Shuttlesworth in the Gaston Motel restaurant at 1:00 a.m. on April 11. During the Good Friday march on April 12, King, Abernathy, and others were arrested. King was placed in solitary confinement, drawing the attention of the Kennedy Administration, which began to monitor developments in Birmingham. While jailed, King wrote his famous "Letter from a Birmingham Jail." His letter was a response to a statement published in the local newspaper by eight moderate white
clergymen who supported integration but opposed the direct action campaign as "unwise and untimely." They believed that negotiations and legal processes were the appropriate means to end segregation, and without directly naming him, portrayed King as an outsider trying to stir up civil unrest. In response, King wrote, "I am in Birmingham because injustice is here."
While King was in jail, the campaign lost momentum. Upon King's release, James Bevel, a young SCLC staffer, proposed what would become known as the "Children's Crusade," a highly controversial strategy aimed at capturing the Nation's attention. On May 2—dubbed D–Day—hundreds of African American teenagers prepared to march from the Sixteenth Street Baptist Church to City Hall. With a crowd of bystanders present, police began arresting young protesters in Kelly Ingram Park. Overwhelmed by the number of protesters, estimated at 1,000, Commissioner Connor called for school buses to transport those arrested to jail. On May 3—Double–D Day—Connor readied his forces for another mass march by stationing police, canine units, and firemen at Kelly Ingram Park. As the young protesters entered the park, authorities ordered them to evacuate the area; when they did not leave, firemen trained their water cannons on them. The high-pressure jets of water knocked them to the ground and tore at their clothing. Connor next deployed the canine corps to disperse the crowd. Police directed six German shepherds towards the crowd and commanded them to attack. Reporters documented the violence, and the next day the country was confronted with dramatic scenes of brutal police aggression against civil rights protesters. These vivid examples of segregation and racial injustice shocked the conscience of the Nation and the world.
The marches and demonstrations continued. Fearing civil unrest and irreparable damage to the city's reputation, on May 8 the Birmingham business community and local leaders agreed to release the peaceful protesters, integrate lunch counters, and begin to hire African Americans. On May 10, 1963, the Gaston Motel served as the site to announce this compromise between local white leaders and civil rights advocates. The motel was bombed around midnight. The bomb blasted a door-sized hole into the reception area below King's second story suite and damaged the water main and electrical lines. King was not in Birmingham at the time. His brother, A.D. King, whose own home in Birmingham had been bombed earlier in the day, worked to calm outraged African Americans and avoid an escalation of violence.
Despite the negotiated peace, African Americans in Birmingham continued to face hostile resistance to integration. That fall, Governor Wallace, in violation of a Federal court order, directed State troopers to prevent desegregation of Alabama public schools. When a Federal court issued injunctions against the troopers, the Governor called out the National Guard. To counter that action, President John F. Kennedy federalized and withdrew the National Guard, thereby allowing desegregation. In response, on September 15, 1963, white supremacists planted a bomb at the Sixteenth Street Baptist Church. Addie Mae Collins, Carole Robertson, and Cynthia Wesley, all of whom were 14, and Denise McNair, 11, were killed. The explosion injured 22 others and left significant damage to the church. King traveled to Birmingham to deliver the eulogy for the little girls. This act of domestic terrorism again shocked the conscience of the Nation and the world.
Public outrage over the events in Birmingham produced political pressure that helped to ensure passage of the Civil Rights Act of 1964, which President Lyndon Johnson signed into law on July 2, 1964. Later that year, the U.S. Supreme Court affirmed the constitutionality of the public accommodation provisions (Title II) of the Act. Several Southern politicians announced that laws must be respected, and across the South outward signs of segregation began to disappear.
Partially as a result of the Federal legislation outlawing discrimination in public accommodations, business at the Gaston Motel suffered. African Americans had more choices in motels and dining. When King returned to Birmingham for an SCLC conference in 1964, he and three dozen colleagues checked into the Parliament House, then considered Birmingham's finest hotel. A.G. Gaston modernized and expanded his motel in 1968, adding a large supper club and other amenities, but business continued to fall through the 1970s. In 1982, Gaston announced that the motel would be converted into housing for the elderly and handicapped. The use of the property for this purpose ceased in 1996, and the former Gaston Motel has sat vacant ever since.
Although some people continued to resist integration following the events of the early 1960s, the passage of the Civil Rights Act of 1964, and its enforcement by the Department of Justice, had the effect of eliminating official segregation of public accommodations. Today, the Gaston Motel, the Birmingham Civil Rights Historic District in which the motel is located, the Bethel Baptist Church, and other associated resources all stand as a testament to the heroism of those who worked so hard to advance the cause of freedom.
Thus, the sites of these events contain objects of historic interest from a critical period in American history.
Whereas, section 320301 of title 54, United States Code (known as the "Antiquities Act"), authorizes the President, in his discretion, to declare by public proclamation historic landmarks, historic and prehistoric structures, and other objects of historic or scientific interest that are situated upon the lands owned or controlled by the Federal Government to be national monuments, and to reserve as a part thereof parcels of land, the limits of which shall be confined to the smallest area compatible with the proper care and management of the objects to be protected;
Whereas, the Birmingham Civil Rights Historic District (Historic District) was listed in the National Register of Historic Places (NRHP) in 2006, as a nationally significant property associated with the climax of the civil rights struggle during the 1956–63 period; and the Historic District contains three key areas and the streets that connect them, covering 36 acres throughout the city; and the Gaston Motel, located in the African American commercial and cultural area known as Northside, is deemed a "major significant resource" in the Historic District;
Whereas, many other Birmingham places have been listed and recognized for their historic roles in the Birmingham civil rights story, including by designation as National Historic Landmarks;
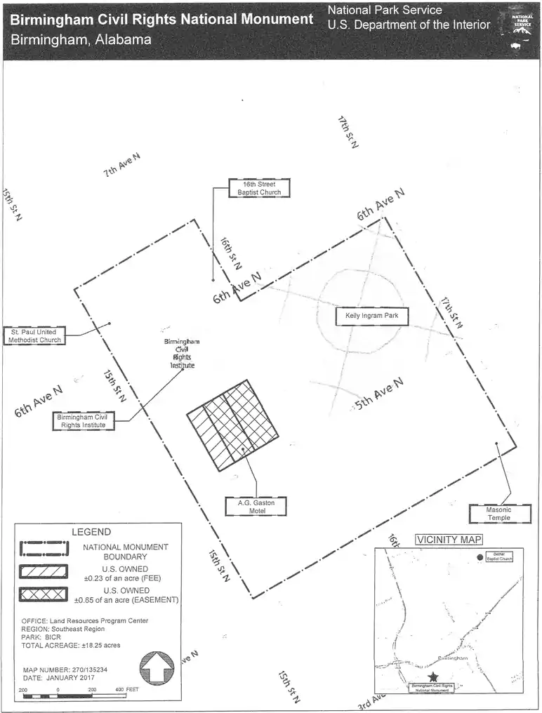
Whereas, the City of Birmingham has donated to the National Trust for Historic Preservation fee and easement interests in the Gaston Motel, totaling approximately 0.23 acres in fee and 0.65 acres in a historic preservation easement;
Whereas, the National Trust for Historic Preservation has relinquished and conveyed all of these lands and interests in lands associated with the Gaston Motel to the Federal Government for the purpose of establishing a unit of the National Park System;
Whereas, the designation of a national monument to be administered by the National Park Service would recognize the historic significance of the Gaston Motel in the Birmingham civil rights story and provide a national platform for telling that story;
Whereas, the City of Birmingham and the National Park Service intend to cooperate in the preservation, operation, and maintenance of the Gaston Motel, and interpretation and education related to the civil rights struggle in Birmingham;
Whereas, it is in the public interest to preserve and protect the Gaston Motel in Birmingham, Alabama and the historic objects associated with it within a portion of the Historic District;
Now, Therefore, I, Barack Obama, President of the United States of America, by the authority vested in me by section 320301 of title 54, United States Code, hereby proclaim the objects identified above that are situated upon lands and interests in lands owned or controlled by the Federal Government to be the Birmingham Civil Rights National Monument (monument) and, for the purpose of protecting those objects, reserve as a part thereof all lands and interests in lands owned or controlled by the Federal Government within the boundaries described on the accompanying map, which is attached to and forms a part of this proclamation. The reserved Federal lands and interests in lands encompass approximately 0.88 acres. The boundaries described on the accompanying map are confined to the smallest area compatible with the proper care and management of the objects to be protected.
All Federal lands and interests in lands within the boundaries described on the accompanying map are hereby appropriated and withdrawn from all forms of entry, location, selection, sale, or other disposition under the public land laws, from location, entry, and patent under the mining laws, and from disposition under all laws relating to mineral and geothermal leasing.
The establishment of the monument is subject to valid existing rights. If the Federal Government acquires any lands or interests in lands not owned or controlled by the Federal Government within the boundaries described on the accompanying map, such lands and interests in lands shall be reserved as a part of the monument, and objects identified above that are situated upon those lands and interests in lands shall be part of the monument, upon acquisition of ownership or control by the Federal Government.
The Secretary of the Interior (Secretary) shall manage the monument through the National Park Service, pursuant to applicable legal authorities, consistent with the purposes and provisions of this proclamation. The Secretary shall prepare a management plan, with full public involvement and in coordination with the City of Birmingham, within 3 years of the date of this proclamation. The management plan shall ensure that the monument fulfills the following purposes for the benefit of present and future generations: (1) to preserve and protect the objects of historic interest associated with the monument, and (2) to interpret the objects, resources, and values related to the civil rights movement. The management plan shall, among other things, set forth the desired relationship of the monument to other related resources, programs, and organizations, both within and outside the National Park System.
The National Park Service is directed to use applicable authorities to seek to enter into agreements with others, including the City of Birmingham, the Birmingham Civil Rights Institute, the Sixteenth Street Baptist Church, and the Bethel Baptist Church, to address common interests and promote management efficiencies, including provision of visitor services, interpretation and education, establishment and care of museum collections, and preservation of historic objects.
Nothing in this proclamation shall be deemed to revoke any existing withdrawal, reservation, or appropriation; however, the monument shall be the dominant reservation.
Warning is hereby given to all unauthorized persons not to appropriate, injure, destroy, or remove any feature of this monument and not to locate or settle upon any of the lands thereof.
In Witness Whereof, I have hereunto set my hand this twelfth day of January, in the year of our Lord two thousand seventeen, and of the Independence of the United States of America the two hundred and forty-first.


[Filed with the Office of the Federal Register, 11:15 a.m., January 17, 2017]
NOTE: This proclamation and its attached annex were published in the Federal Register on January 18.
Categories: Proclamations : Birmingham Civil Rights National Monument, establishment.
Subjects: Alabama : Birmingham Civil Rights National Monument; Interior, Department of the : Birmingham Civil Rights National Monument, establishment.
DCPD Number: DCPD201700015.
[FR Doc. 2017–01342
Filed 1–17–17; 11:15 a.m.]