< Page:A Voyage in Space (1913).djvu
This page has been validated.

218

A VOYAGE IN SPACE

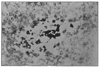
the instrument to photograph the details of the surface, which Huggins and Nasmyth tried to draw and Hansky succeeded in photographing in ordinary light. When we make pictures of them in special colours with this new instrument we get a different picture for every new colour. Let me show you a couple of such pictures of a small portion of the Sun's surface near a spot.

Fig. 62.—A Sunspot photographed in Calcium light (Oct. 9, 1903). The sunspot is a great convenience in this case, because the pictures of the surroundings differ so completely that unless you had the spot to go by, you would scarcely believe that you were looking at the same part of the Sun; and yet it is exactly the same part, and the pictures were taken within a few minutes of each other; but in one the slit of the instrument was set for calcium light, and in the other for a special light made by hydrogen. You see how different they are; and I hope you understand the reason. Sup-

This article is issued from Wikisource. The text is licensed under Creative Commons - Attribution - Sharealike. Additional terms may apply for the media files.